İmar Uygulaması 2557 17 Nisan 2026, 11:34
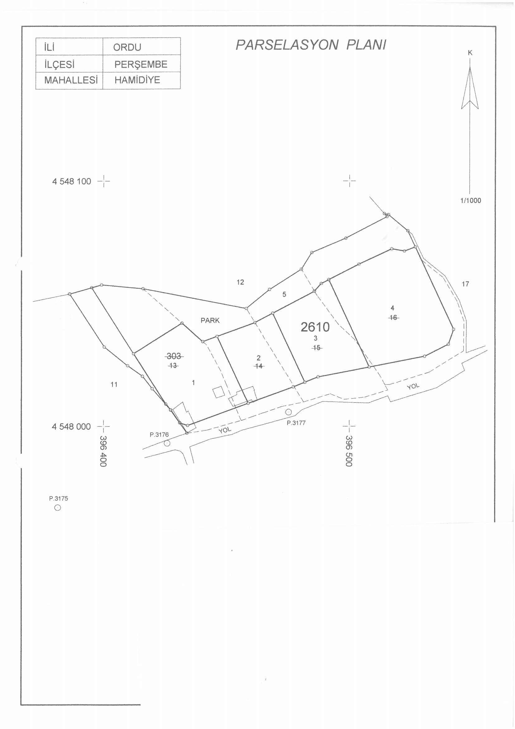
İlçemiz Hamidiye Mahallesi 303 ada 13, 14, 15 ve 16 parsellerde 3194 sayılı İmar Kanunu'nun 18. Maddesine istinaden yapılacak olan imar uygulaması için Belediye Encümeni' nin 15.01.2026 tarih ve 15 sayılı kararı ile onaylanarak denetlenmesi için Ordu Büyükşehir Belediyesi'ne gönderilmiş ve 18.02.2026 tarih ve 2026/113 sayılı kararı ile uygun görülmüştür.
DIĞER DUYURULAR
-
İmar uygulaması 2558
17 Nisan 2026, 11:38 -
İmar Uygulaması 2556
17 Nisan 2026, 11:36 -
İmar Uygulaması 2557
17 Nisan 2026, 11:34 -
İmar Uygulaması 2555
17 Nisan 2026, 11:30 -
İmar Uygulaması 353
27 Ocak 2026, 09:42 -
İmar Uygulaması 354
16 Ocak 2026, 14:32 -
İmar Uygulaması
16 Ocak 2026, 14:31 -
İmar Uygulaması 352
16 Ocak 2026, 14:30 -
İmar Uygulaması 351
16 Ocak 2026, 14:28 -
İmar Uygulaması 350
16 Ocak 2026, 14:27

